Geoprocessamento e Topografia

GEOCRAN

Saiba mais

Topografia

Levantamentos Planialtimétrico, Planimétrico e Geodésico

Medição de Terreno

A GEOCRAN oferece serviços completos de medição de terrenos com precisão técnica e respaldo legal, ideais para construções, regularizações, desmembramentos, usucapiões e disputas judiciais.

Levantamentos Planialtimétricos

Ideal para projetos de construção, loteamentos e regularização de imóveis, nossos levantamentos seguem a norma NBR 13.133 e são realizados por profissionais registrados no CREA, com emissão de ART.

Planimétrico e Geodésico

O levantamento planialtimétrico é um dos serviços mais requisitados pela GEOCRAN, especialmente para projetos que exigem análise detalhada do relevo e da ocupação do terreno.

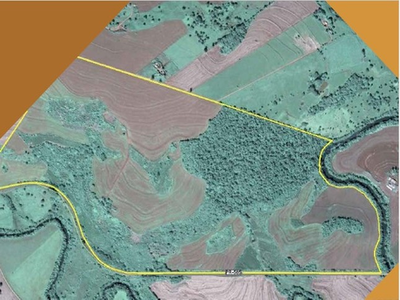
Geoprocessamento

Elaboração de plantas e mapas temáticos em plataforma SIG de localização, hidrográfico, altimétrico, uso e cobertura do solo, declividade.

Agricultura

Geoprocessamento aplicado

Ambiental

Análise e Projeto

REURB

Regularização Fundiária Urbana

Cadastro Ambiental Rural

Cadastro Ambiental Rural

Assessoria em Regularização Ambiental

Sobre nós

Nossa Históra

A GEOCRAN Geoprocessamento e Topografia conta com uma equipe técnica composta por profissionais altamente qualificados, com sólida formação nas áreas de topografia, geoprocessamento, geografia e meio ambiente.
Nosso quadro é formado por especialistas com ampla experiência de mercado, aliada à atuação de jovens profissionais atualizados com as mais recentes inovações tecnológicas e metodológicas do setor. Essa integração entre tradição e inovação assegura a excelência na execução dos serviços e a constante busca por soluções eficazes e alinhadas às demandas contemporâneas.
Comprometida com a qualidade, a responsabilidade técnica e o rigor científico, a equipe da GEOCRAN está preparada para atender com eficiência projetos de diferentes naturezas e complexidades, sempre pautada pela ética, precisão e respeito ao meio ambiente.

Contato